Voornemen tot ruil grond bij Dorpsweg 23 en 25

De locatie aan de Dorpsweg 23 en 25 is herontwikkeld naar woningbouw. Om het eigendom in overeenstemming te brengen met de nieuwe situatie heeft de gemeente Hattem het voornemen grond te ruilen.

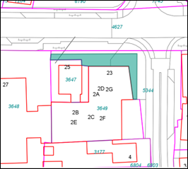
We zijn van plan een strook grond gelegen aan de Dorpsweg, kadastraal bekend gemeente Hattem, sectie D, nummer 5344 (gedeeltelijk) ter grootte van ongeveer 127 m² te verkopen aan de eigenaar van de grond Dorpsweg 23 en 25 voor de realisatie van woningbouw. In ruil daarvoor verkoopt de eigenaar van de grond Dorpsweg 23 en 25 aan de gemeente een stukje grond aan de Eijerdijk, kadastraal bekend gemeente Hattem, sectie D, nummer 3649 (gedeeltelijk) ter grootte van ongeveer 28 m² voor de aanleg en inrichting van openbare ruimte.

Situatie ruill grond gemeente

Situatie ruil grond gemeente

 

Situatie ruil grond eigenaar

Situatie ruil grond eigenaar
     

Eén serieuze gegadigde

Op basis van objectieve, redelijke en toetsbare criteria zijn wij van mening dat slechts één serieuze gegadigde voor de ruil in aanmerking komt. Wij hebben in het verleden een overeenkomst gesloten voor de ontwikkeling van woningbouw op de locatie aan de Dorpsweg 23 en 25. Daarbij zijn afspraken gemaakt over de ruil van gronden om de realisatie van deze ontwikkeling mogelijk te maken. Daarmee is de eigenaar van de grond aan de Dorpsweg 23 en 25 de enige partij die deze ontwikkeling mogelijk kan maken. Ook verkopen wij reststroken grond alleen aan aangrenzende grondeigenaren. Bij de ruil van deze stukjes grond is er daarom sprake van één serieuze gegadigde.

Ben je van mening dat ook jij op basis van de hiervoor omschreven criteria in aanmerking komt voor de ruil? Meld je dan bij ons. Doe dit binnen 14 kalenderdagen (uiterlijk 26 november 2025). Wij toetsen dan of je voldoet aan de in deze kennisgeving gestelde uitgiftevoorwaarden. Wij informeren je binnen 7 kalenderdagen na ontvangst van je melding schriftelijk met motivatie over de uitkomst. Voldoe je aan de uitgiftevoorwaarden? Dan starten we alsnog een normale of uitgebreide selectieprocedure. Wil je de kwestie voorleggen aan een rechter? Start dan een kortgedingprocedure bij de voorzieningenrechter van de rechtbank Gelderland. Doe dit binnen een termijn van 20 kalenderdagen na publicatie (uiterlijk 2 december 2025). De hiervoor genoemde termijn is een vervaltermijn.

Meer informatie

Heb je vragen over de voorgenomen verkoop? Neem dan contact op met de afdeling Grondzaken. Dit kan via e-mailadres: grondzaken@hattem.nl of per adres Markt 1, 8051 EZ Hattem of Postbus 93, 8050 AB Hattem. Vermeld hierbij het zaaknummer 392289.